皆さんこんにちは・・・・・
IMG_6175
まげです
いやぁ・・・・
さすがのイケメン店長でも、ここまで手を加えられるとイケメンではいられなくなってしまいますね

そうです
寝てるといたずら描きされる船の旅と言えば・・・・
IMG_6135
三宅島ツア~っ
台風の接近で、危うく開催さえ危ぶまれました
お客様は皆さま口々に・・・
『船でるの???』
『日曜日ちゃんと帰ってこれる???』
『三宅行って潜れないとかない??』
などなど、結構ご不安を抱かせてしまいました

ですがそこは開催率100%
スーパーウルトラプラス思考の雨男のマゲですから・・・
IMG_3177
も~ん だ~い ないさぁ~~っ
初日の土曜日に3ボート、翌日曜日に早朝1ビーチ&1ボートして、定刻の船で帰って参りました
ではそんな三宅島ツアーのご報告です
最後までお付き合い下さい

1日目

まずは恒例の・・・
IMG_6020
0次会ぁ~い
まぁ僕はそんなにお酒が好きではありませんが・・・
お酒好きなお客様と夕飯&ツアーの成功を祈願しまして、これまた毎年恒例のお店にお邪魔しました
このお店のスタッフで、3年前からマゲ担当のきりちゃんも一緒にパシャッ

僕たちの為に・・・

よさこいを披露してくれました
きりちゃん、りおちゃん、ありがとぉっ来年も宜しくねぇ~っ
ちなみにここだけの話ですが、18:00から・・・
IMG_6014
ゼロ0次会をやっていた事はナイショです

21時の港には・・・
IMG_6032
無事全員集合っ
今回のメンバーは・・・
KOOさんと香織さん
今やマリステでは有名人となったマスタング兄さん
今回最年少で登場の秋ちゃん
どーしてもDRYで行くと聞かないじゅりりん
今回はピンでご参加の好香ちゃん
茨城の星立田さん
スタッフ顔負けのポテンシャルを発揮するピロちゃん
合計8名様のお客様と、マゲで行ってまいりました

そのままぁ~・・・・
IMG_6057
ハイッ乾杯ぁ~いっ
自主的に酒瓶をご持参くださるお客様多数にて、いやはや大盛り上がり

からのぉ~~っ・・・
IMG_6171

IMG_6185
ハイ完成っ
色々な人の眉毛を繋げた犯人は、反撃された満面の笑みの最年少っ(笑)
いやぁ楽しい時間でしたねぇ
マリステ軍団はこの楽しい雰囲気のまま、集合日の金夜を終えたのでした

2日目
三宅島に着くのは土曜日の朝5時
民宿で仮眠を取って、美味しい朝食をがっちり食べて・・・
IMG_6068

IMG_6067
いざ今年初三宅DIVE
釜の尻、大崎、ひょうたん山の下とボートで潜ってきました

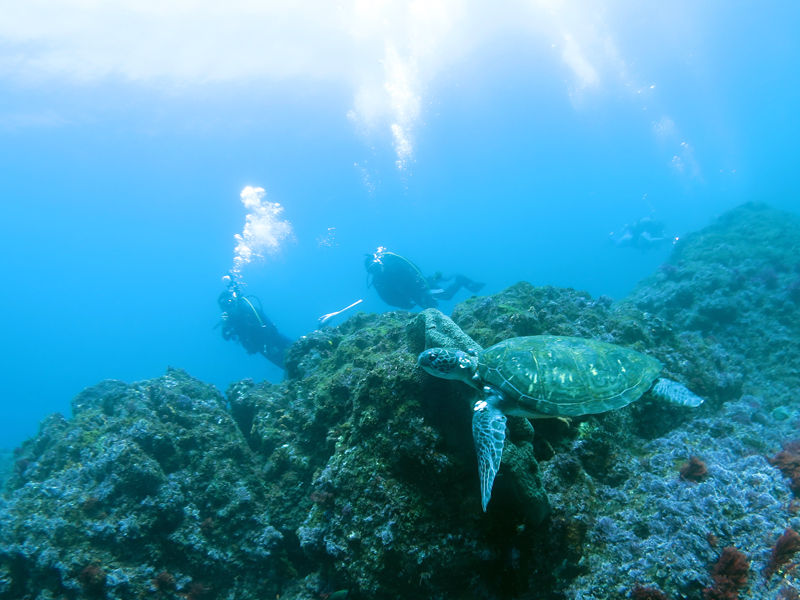
水中ではぁ~・・・
IMG_3061

IMG_6190
アオウミガメGETぉ~っ
2日間でトータル10っカメ
なかなかの成績ですねっ

他にも・・・
IMG_6244
IMG_6243
IMG_6242
IMG_6194
マクロからワイドまで、色々楽しめました

2本名に行ったひょうたん山の下は、普段は潜らないらしく出物はまったくの未知数。
潜ってみると・・・・
IMG_3081
なんもおらんかった(笑)
Kooさんの『何にもいねぇ』のポーズが可愛いヤツ

潜り終わったら三宅島の温泉へ
お土産の買い出しと、これまた毎年恒例の・・・
IMG_6083 のコピー
IMG_6091
IMG_6095
サンセットツアー
雄大な大自然に沈む、美しい夕日を眺めながらプシュッ
ロンモチ、運転手の僕はノンアル

この旅1、2位を争う楽しみが・・・
IMG_6116
IMG_6109
今回もお世話になったDeep inのスーさんと奥様手作りの豪華島飯っ
スーさんがつってきたお魚のお刺身、フライ、カルパッチョ、カメの手の味噌汁、明日葉のナムル
最後に『つまみにしなぁ~』って、燻製の盛り合わせまで頂いてしまいました
もぉお腹はち切れそうでやんす
ご飯の後はみんなで星を見に行って、そして僕とマスタング兄さんのお部屋で・・・
IMG_6124
2次会
ホント、好きだよねぇ(笑)
気がねなく、好きなことをおしゃべりできる素敵なメンバーでしたとさ

3日目
この日は早起きして、ご希望のお客様のみの早朝DIVE
Pointは学校下ビーチで・・・
IMG_6196
IMG_3167
IMG_3156
IMG_3174
黒潮GETのルンルンな海っ
タカベの群れ、ハマフエフキの群れ、ユウレイクラゲ、ユウレイクラゲについていたハナビラウオ、セナキルリスズメダイ、ノコギリダイなどを堪能しました

朝食後はお待ちかね
限定OPENメガネ岩に出向っ
海況、透明度と心配されていましたが・・・
IMG_3200
IMG_3186
IMG_3182
IMG_3211
IMG_3227
IMG_3232
これ大当たり

IMG_6198
ツバメウオの群れとか・・・

IMG_6194
IMG_6247
キンギョハナダイ凄いし・・・
IMG_6248
イシガキフグでかいし・・・
やはり1年間に数日しかOPENしないスポットというのは凄いですね
みんな大満足だったのでした

潜り終わったら慌てて帰るのみ
お片付けして、ビール飲みつつ、バタバタバタバタして・・・
IMG_6139
はい、出港ぉ~っ
しかし飲んでばっかだね(笑)
三宅島に別れを告げたのでした

この後ぽっくり寝落ちした僕は知りませんでしたが、皆で楽しく・・・
IMG_6169
トランプしてたみたい(笑)
目が覚めたら足の爪にマニキュアが塗られてた衝撃っ
油断も隙もありゃしませんね

台風で開催が危ぶまれた今年の三宅島ツアーでしたが・・・
IMG_6155
無事終了となりました
ご参加下さいました皆さま、本当にありがとうございました
タンクの積み下ろしや器材の運搬、マゲ貴重品袋の管理、お菓子とお酒の差し入れ、船内毛布の差し入れとなどなど、本当に皆さまのお心遣いに感謝感謝でございます
毎年恒例となったこの三宅島ツアー
来年も張り切って参りましょうっ
皆さまのご参加を、心よりお待ちしておりま~す

以下は三宅島ギャラリー
IMG_3054
☆4ヶ月ダイビングお休みになるKooさん

IMG_3138
☆兄さんの顔よりデカいイシガキフグ☆

IMG_3139
☆マダラエイが大きすぎる件☆

IMG_3191
☆カンパチ旨かったぁ☆

IMG_6076
☆船酔いしない人が、酔ってるように見える魔法☆

IMG_6163
☆お疲れさん会にご参加の勇者たち☆

IMG_6187
☆最初に僕の顔にペンを振るったのは、NAUI時代の森脇パイセン☆

IMG_6199
☆Deep in看板犬のダーマちゃん☆

IMG_6200
☆の可愛さに嫉妬するイケメン店長☆

ちゃんちゃん